超强台风“森拉克”将严重影响塞班岛,注意防范!
发布时间:2026-04-14来源:渔业界

黄渤海、东海、南海渔民兄弟相互转告
点击关注下方渔业界公众号
了解渔业资讯,油补政策,台风预警,渔港潮汐
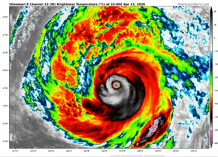
今年第4号台风“森拉克”(超强台风级)的中心今天(14日)上午8点钟位于美国关岛东偏北方向约215公里的西北太平洋洋面上,就是北纬14.2度、东经146.6度,中心附近最大风力有17级(60米/秒),中心最低气压为920百帕,七级风圈半径为450-500公里,十级风圈半径为120-160公里,十二级风圈半径为80公里。中央气象台预计,“森拉克”将以每小时10公里左右的速度向北偏西方向移动,强度将逐渐减弱,15日以后逐渐向偏北到东北方向偏转。未来“森拉克”对我国近海无影响。从今晨的云图对比看,“森拉克”的强度在减弱,核心对流区的高度下降,凌晨4时云顶亮温还有低于零下80℃的粉色区,9时已经是灰黑色的零下70℃区(云顶越冷、越高、对流越强)。同时它的形态较巅峰状态也是明显转差,高空风眼模糊化。未来“森拉克”前进路径上,海温下降、垂直风切变加大、中层湿度也下降,有干空气卷入,强度将继续下降。从路径预报看,相比之前向东北调整,今晚可能从塞班岛东侧近海掠过,但也不排除登陆塞班岛的可能性。虽然台风“森拉克”已经有所减弱,但是它依旧是实打实的超强台风,今天傍晚到明天前半夜是对塞班岛影响最严重的时段,它将可能给塞班岛带来严重影响,请在塞班岛的小伙伴一定做好防范!黄渤海、东海、南海渔民兄弟相互转告
点击关注下方渔业界公众号
了解渔业资讯,油补政策,台风预警,渔港潮汐
一、近海海域天气实况
3月18日02时至14时,渤海出现了7~8级、阵风9级的偏北风,黄海大部海域出现了5~6级、阵风7级的偏北风,东海北部海域出现了5~6级、阵风7级的旋转风。舟山附近海域有轻雾。
二、未来三天具体预报


18日20时至19日20时,黄海中部海域、东海大部海域、台湾海峡将有5~6级、阵风7级的偏北到东北风, 东海西部海域、浙江东部沿岸海域、福建北部沿岸海域将有轻雾。

19日20时至20日20时,台湾海峡将有5~6级、阵风7级的东北风。

20日20时至21日20时,渤海将有5~6级、阵风7级的偏南风,东海南部海域、台湾海峡将有5~6级、阵风7级的东北风。
三、未来4~7天天气展望
预计,3月21日夜间至25日白天,渤海、渤海海峡、东海大部海域、台湾海峡、巴士海峡、北部湾、南海东北部海域、南海中西部海域、南海中东部海域、南海东南部海域将有5~6级、阵风7级的风。业资讯,油补政策,台风预警,渔港潮汐
转载说明:本文系转载内容,版权归原作者及原出处所有。转载目的在于传递更多行业信息,文章观点仅代表原作者本人,与本平台立场无关。若涉及作品版权问题,请原作者或相关权利人及时与本平台联系,我们将在第一时间核实后移除相关内容。